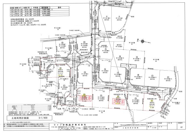
3棟 6件
-
953万円~971万円
250.77㎡~266.86㎡ (-)
- 公共下水
-
812万円~1,152万円
185.10㎡~262.62㎡ (-)
- 公共下水
ファミリーマート 西条天神店まで徒歩5分と近場にコンビニがあるのもポイント。コチラは売地の情報となっています。土地購入をお考えの方は是非。新しい住まいをお考えの方に、好条件の住宅用地はこちらです。ニーズの高い西条市エリアのお薦め情報が満載です。大きな買い物である不動産購入は、信頼と実績の当社にぜひお任せください。ご連絡をお待ちしております。
-
933万円
220.26㎡ (-)
- 公共下水
分譲地内で車の離合が可能な広々6.3m道路♪車の出入りが少なく安心な土地!!
玉津小学校まで1302m 西条東中学校まで389m